skip to main content
$19,900

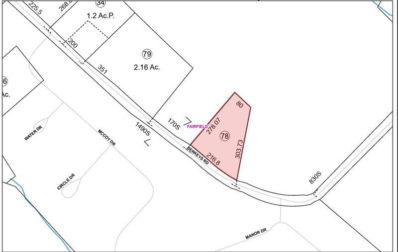
143 Berkeys Rd, Fairfield Twp, PA 15923

Active #1732953
New12/9
Fairfield TwpLigonier Valley School DistrictWestmoreland County
Residential Lot0.95 Acres
Looking to build a home with fantastic views of the Ligonier Valley countryside? Look no further! Located just a few miles from Ligonier, this is the ideal spot for your dream home. This lot is slightly sloped with some brush and small trees making it easy to clear. An Elevated Sand Mound Trench System has already been drawn up by an engineer"¦see attachment for details. Gas and Electric are available.
Listed ByRyan Scalise(724) 539-3525
General Information
Taxes $343
Zoning none
Exterior Features
Access Highway, State
Frontage 216
Terrain brush, trees, slight slope
Utilities
Electric avail
Gas avail

Map

Drive Time Estimator

Add locations to calculate your drive time to this property.

Mortgage Estimator

principal + interest
$0
$
price
% down
$
loan
%
years
+
taxes
$29
$
taxes/yr
+
insurance
$0
$
ins./yr
=
monthly cost
$0
Total Monthly Cost

For more details, use our mortgage comparison and amortization tool.

This is an estimate which can be affected by your lender's rates, PMI requirements and other factors. For the most accurate information, contact a mortgage representative.

Information Herein is Deemed Reliable but Not Guaranteed

Get In Touch About This Property
Listed ByRyan Scalise(724) 539-3525

I'd like to:

Email This Property

Fill out the form below to email this property to a friend!

Login
Register
Log In To Use This Feature

Log in to access your saved properties, easily request more information, get customized mortgage calculations and more! Or register a new account.

Register to Use This Feature

Creating an account allows you to save properties, easily request more information, get customized mortgage calculations and more!

Forgot Password

Enter your email address in the box below and click "Reset Password" to send an email with instructions to reset your password.